 
	 
		
	
	Seabed 2030 and Ocean Census announce partnership uniting efforts to map the seabed and discover ocean life
Seabed2030 Partnership
A new partnership has been announced between the Seabed 2030 project and Ocean Census.
With the shared goal of unravelling the mysteries of the deep and enabling sustainable management practices, the partnership between Seabed 2030 and Ocean Census will greatly strengthen the future of ocean science and marine conservation.
Both programmes have been initiated and supported by The Nippon Foundation, Japan’s leading philanthropic organisation which works to solve global issues through social innovation.
“The partnership between Ocean Census and Seabed 2030 marks a pivotal moment in ocean scientific exploration and marine conservation. By integrating seafloor mapping data with a deeper understanding of where and what lives in our ocean, we can gain a holistic understanding of ocean ecosystems, their role in oxygen production, climate regulation and food security. In combination, we will be able to identify areas of high conservation priority so we can develop effective strategies to safeguard ocean life, the life that makes all life on Earth possible,” explained Yohei Sasakawa, Chairman of The Nippon Foundation.
The Nippon Foundation and Nekton launched Ocean Census in April 2023, with the aim of revolutionising our understanding of marine life. Scientists maintain that we have discovered slightly more than 10% of species that live in the ocean, despite it being home to an estimated 2.2 million species. The rate of discovery has remained relatively unchanged since the 1800s, with approximately only 2,000 new ocean species described per year.
However, recent technological advances in high resolution imaging, DNA sequencing, and machine learning mean that scientists can now considerably accelerate the process, and Ocean Census has set itself the ambitious target of discovering 100,000 new species over the next decade.
This will be achieved through expeditions to the ocean’s biodiversity hotspots, with species discovered on expeditions sent for imaging and DNA sequencing at Ocean Census Biodiversity Centres. Ocean Census is being undertaken by an alliance of partners uniting the resources and expertise of science, media and civil society with government, philanthropy and business.
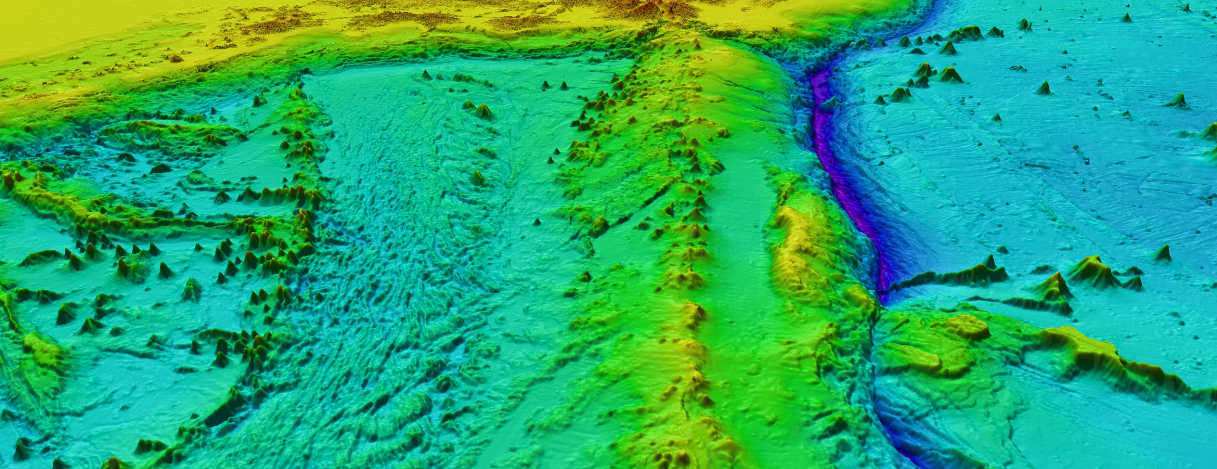
Seabed 2030 is a collaborative project between The Nippon Foundation and GEBCO to inspire the complete mapping of the world’s ocean by 2030 and to compile all bathymetric data into the freely available GEBCO Ocean Map – it is also a formally endorsed Decade Action of the UN Ocean Decade. GEBCO is a joint programme of the International Hydrographic Organization (IHO) and the Intergovernmental Oceanographic Commission (IOC), and is the only organisation with a mandate to map the entire ocean floor.
 
								“Seabed 2030 has been at the forefront of spearheading the global effort behind mapping the world’s ocean floor for over half a decade now,” commented Oliver Steeds OBE, Director of Ocean Census.
“Coordinating the efforts of Ocean Census and Seabed 2030 will serve to accelerate our scientific understanding of the ocean, and help us to safeguard ocean life for future generations” continued Steeds.
Seabed 2030 Project Director Jamie McMichael-Phillips said: “This partnership will leverage the respective strengths of both parties in pursuit of a unifying and essential goal – to better understand the planet and ensure its sustainable management.
 
		“Ocean Census’ mission seamlessly aligns with Seabed 2030’s goal. Together, we can help fill in the critical gaps in our knowledge and ensure policymakers and stakeholders are able to make evidence-based decisions that protect and safeguard the ocean for generations to come.”
This partnership is a testament to the collective commitment of Seabed 2030 and Ocean Census to unite and inspire global efforts in mapping and preserving the world’s ocean. All data collected and shared with the Seabed 2030 project is included in the free and publicly available GEBCO global grid.
Ocean Census is actively partnering with a range of organisations to grow an alliance committed to accelerating the discovery of ocean life. Those interested in getting involved should get in touch.
RelatedNews
Join the census
An Alliance of scientists, governments, marine research institutes, museums, philanthropy, technology, media and civil society partners.





























 
											 
								 
																						